发布日期:2025-10-05 06:51 点击次数:150
今(3)日日间凯发·k8国际app官网,本年第21号台风“麦德姆”将穿过菲律宾吕宋岛,之后移入南海东部海面,并将于5日日间在我国广东西部到海南岛东部一带沿海登陆,登陆强度可达台风或强台风级。受其影响,海南风雨渐起,光辉天为台风雨最强时段,北部和东部等地雨势蛮横,局地或遭逢特大暴雨,公众假期出游需扫视安全。
与夏天的台风比拟,十月登陆我国的台风旅途昭彰偏南,主要聚拢在华南,为何十月台风“偏疼”华南呢?

瞻望5日日间强势登陆
中央时局台10月3日18时发布的台风黄色预警清楚,本年第21号台风“麦德姆”(强热带风暴级)的中心今天(3日)上昼9点钟前后在菲律宾吕宋岛东北部沿海登陆(强热带风暴级,28米/秒,982百帕),登陆后向西偏朔主义移动,自东向西穿过吕宋岛,下昼5点钟其中心位于吕宋岛西北部近海,等于北纬17.1度、东经120.2度,中心隔邻最大风力有10级(28米/秒),中心最低气压为982百帕,七级风圈半径为200-250公里,十级风圈半径为50-60公里。

瞻望,“麦德姆”将以每小时25-30公里的速率向西偏朔主义移动,安定向广东西部到海南岛东部一带沿海聚首,强度安定增强,最强可达强台风级(14-15级,42-48米/秒),将于5日日间在广东电白至海南万宁一带沿海登陆(台风级或强台风级,13-14级,40-45米/秒),登陆后强度安定随性。
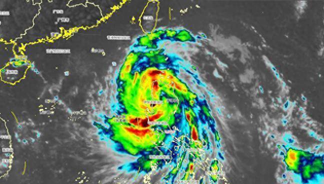
从现在的卫星云图上来看,台风“麦德姆”的云型结构比较好,中心密闭云区比较紧实,有意于其干预南海后强度增强;此外,它的移速较快,好像达到每小时30公里傍边,今天夜间起就将给南海中北部海域带来风雨天气,并于4到7日自东向西影响广东、海南、广西、云南等地。
受台风“麦德姆”影响,今天起海南风雨渐起,未来夜间起,海南岛北半部沿海陆地有9至10级大风,阵风可达11至12级,南半部沿海陆地有7至9级大风。
大风预告:3昼夜间至6日日间,广东雷州半岛和中西部沿海、广西沿海、海南岛及沿海、西沙群岛、中沙群岛、黄岩岛隔邻海域将有6到8级风,南海中北部、琼州海峡、北部湾中北部有9到11级风,“麦德姆”中心经过的隔邻海域或地区风力可达12到14级、阵风15到17级。
降雨预告:4昼夜间至7日日间,华南南部和西部、云南等地自东向西有大到暴雨;其中,海南岛中北部、广东西南部、广西南部、云南东南部部分地区有大暴雨,海南岛东北部和广西沿海局地特大暴雨(累计降雨量100到160毫米,局地250到280毫米)。主要降雨时段为:广东、海南4昼夜间至5日,广西5日至6日,云南6日至7日。
与“博罗依”影响区域高度访佛
中央时局台瞻望,未来夜间至7日日间,华南南部和西部、云南等地自东向西有大到暴雨;其中,海南岛中北部、广东西南部、广西南部、云南东南部部分地区有大暴雨,海南岛东北部和广西沿海局地特大暴雨(累计降雨量100~160毫米,局地250~280毫米)。主要降雨时段广东、海南4昼夜间至5日,广西5日至6日,云南6日至7日。
流程来看,4日,海南岛中东部最初出现强降雨,最强风雨时段为5日,届时广西南部、广东中西部沿海以及海南岛将遍及下起大到暴雨,部分地区大暴雨。
6日,“麦德姆”赓续西行,强降雨落区调理至广西、云南交壤一带。
7日,台风残余涡旋仍将给云南多地带来大到暴雨天气。
需要荒谬扫视的是,前一个台风——第20号台风“博罗依”刚刚给广西西部、云南东部制造了一轮同时罕有的极点强降雨。
中国天气网时局分析师林楠先容,台风“博罗依”天然莫得登陆我国,何况于9月29昼夜间就仍是停编,但它在向西朔主义移动流程中,一方面它东侧的偏南风把大宗水汽输奉上来,另一方面它的残余系统叠加季民俗流,给广西西部、云南东部等地带来大到暴雨,局地大暴雨。
国度级时局站中,9月29日20时至30日20时,广西德保186.8毫米、田林137.2毫米、百色119.3毫米,云南西畴118.9毫米,均突破当地9月单日降水量记载,云南屏边156.5毫米突破当地不雅测史单日降水量记载。
区域站的降水更强,广西百色市下属的靖西市、隆林县、德保县等局地单日雨量突破200毫米、以致250毫米。
受极点降雨影响,广西境内左江、右江、郁江流域高水位脱手。而新台风“麦德姆”畴昔暴雨大暴雨区域与前期强降雨区域高度访佛!
对比看上一次流程实况,广西西部和南部、云南东部的落区与“麦德姆”行将带来的强降雨区域高度访佛。
广西南部、西部需高度警惕降雨叠加效应,加强阻挠强降雨激励的中小河流激流、山洪、地质灾害、城乡积涝等次生灾害,并防御其对交通运载、假期旅游、城市脱手、农业坐褥等的不利影响。
除了台风带来的强降雨,畴昔几天,副热带高压北侧强降雨带的疗养也需关心。
光辉两天,雨带东段将握续北抬,甘肃东部、陕西、山西、京津冀等地将不息出现降雨天气,其中5日,大到暴雨将袒护陕西、山西、河北南部、河南北部、山东西部等地。
6日起,雨带西段川陕一带的降雨暂时随性,主雨带将北抬至“甘肃东部-河套-华北中部”一带,10日后,川陕交壤一带的降雨将再度发展增多,华西秋雨未完待续。
时局群众教导,现在偶合国庆中秋假期,出行出游公众显赫增多,台风“麦德姆”登陆强度强、风雨影响畛域广,将对广东、海南、广西、云南的旅游、交通等形成严重影响,上述地区公众务必提升警惕。
十月为何台风“偏疼”华南
与夏天的台风比拟,十月登陆我国的台风旅途昭彰偏南,主要聚拢在华南。中国天气网统计1949年至2024年台风大数据发现,十月台风登陆地分歧在浙江到海南一带,尤其偏疼海南等地。统计清楚,海南是十月台风登陆次数最多的省份,达20次,广东以17次紧随后来,福建、台湾各有6次。
为何十月台风“偏疼”华南呢?中国天气网时局分析师孙倩倩暗示,干预秋季,跟着副热带高压东退南移,台风容易受其南侧气流蛊惑,形成偏西移动旅途,这使得其登陆我国的方位愈加偏南,因此华南地区更易受影响。
此外,十月登陆我国的这些台风中,不乏影响严重的“狠扮装”。举例2015年的第22号台风“彩虹”,它在曩昔10月4日以超强台风级别登陆广东湛江,登陆时中心隔邻最大风力达52米/秒,为1949年以来十月登陆我国的最强台风。“彩虹”给广东湛江、茂名、阳江和广西多地带来暴风暴雨,繁芜力极强。
为何十月登陆我国的台风如斯强悍?孙倩倩先容,因为到了十月,太阳直射点南移、海温较高,不错为台风的发展加强提供鼓胀的能量;而且秋季环流局面比夏天强健、垂直风切变更弱,有意于台风的强度发展,是以这个时节容易出强悍台风。
中国天气网教导,天然和八九月比拟,十月份登陆我国的台风个数大幅减少,但这并不虞味着台风季的端正,此时台风的实力并不弱,而且冷空气愈加活跃,南下进程更深,因此台风更容易和冷空气联接,带来更严重的风雨影响。台风来袭时,沿海住户不行掉以轻心,扫视作念好防台风准备。
府上开始 中国天气网凯发·k8国际app官网
上一篇:凯发·k8国际app官网全天换手率11.42%-凯发k8首页(中国)官方网站登录入口
下一篇:没有了